Massgeschneiderte GIS-Lösungen für Ihr Unternehmen
Wir bieten Ihnen praxisnahe und flexible GIS-Lösungen – von einfachen Web-GIS-Anwendungen bis hin zu vollwertigen Arbeits-GIS-Systemen für Desktop und mobile Endgeräte. Unsere Lösungen sind modular aufgebaut und lassen sich individuell an Ihre Anforderungen anpassen.
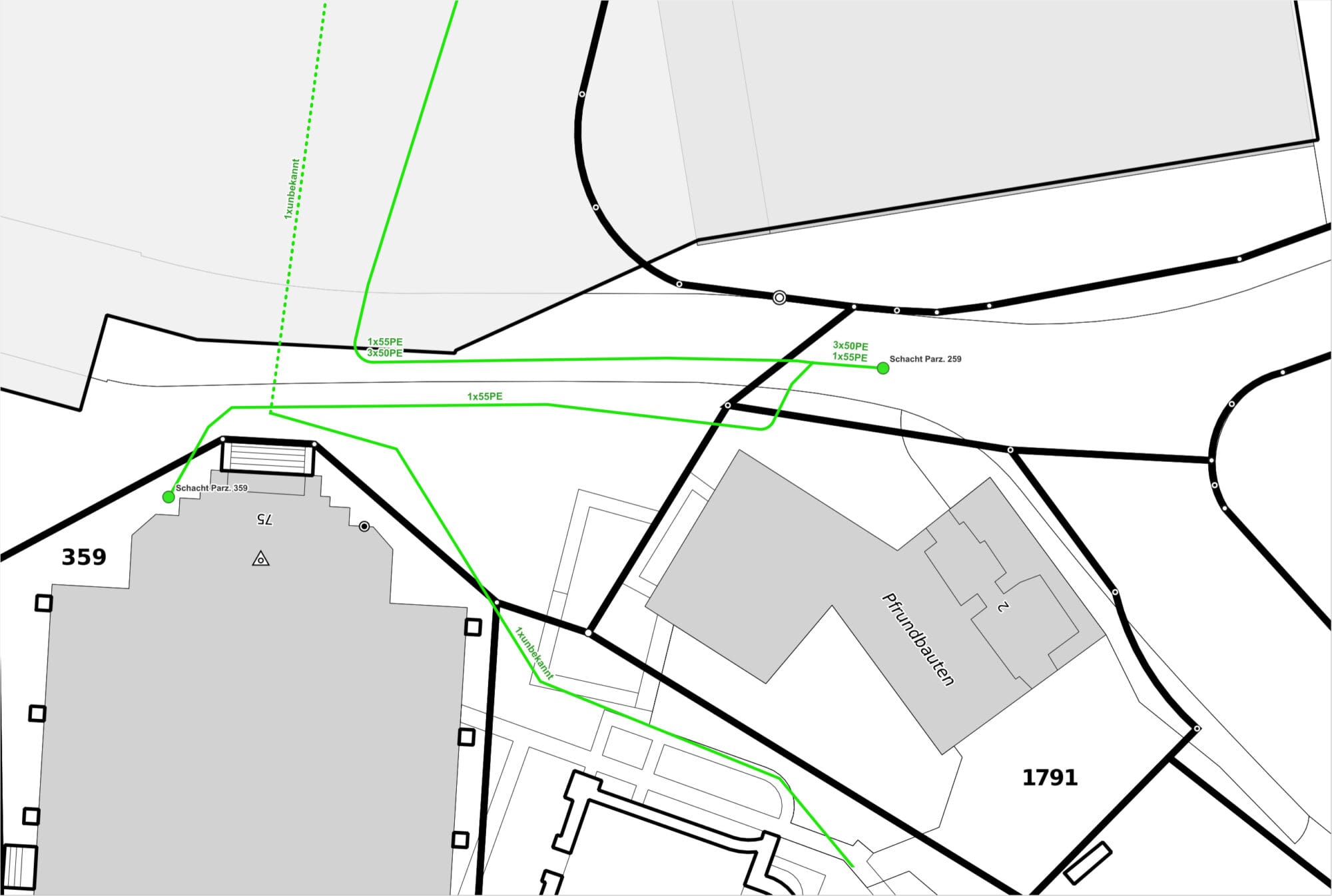
Unsere Standard-GIS-Varianten eignen sich ideal für die Darstellung und Abfrage von Werkleitungsdaten. Sie ermöglichen den schnellen Zugriff auf Informationen zu Leitungen, Schächten, Armaturen und weiteren Infrastrukturkomponenten – direkt im Webbrowser und auf allen gängigen Geräten. Auch vor Ort können diese Daten problemlos abgerufen werden.
Darüber hinaus entwickeln wir Arbeits-GIS-Systeme, die als Applikationen auf PCs, Tablets und Smartphones eingesetzt werden können. Diese Systeme gehen über die reine Darstellung hinaus: Sie dienen als aktive Arbeitsgrundlage für Ihre Prozesse.
Ein Beispiel dafür ist ein digitales Wartungskataster. Hier können Wartungsobjekte erfasst, Wartungsintervalle hinterlegt und durchgeführte Maßnahmen direkt im System dokumentiert werden. So entsteht eine transparente und nachvollziehbare Wartungshistorie.
Unsere Lösungen sind besonders geeignet für kommunale Einrichtungen, Versorgungsbetriebe, Dienstleister im Bereich Infrastruktur und Instandhaltung. Wir beraten Sie gerne bei der Auswahl und Umsetzung der passenden GIS-Strategie.
Zusätzlich bieten wir eine eigene GIS-Plattform mit integrierten WMS- und WFS-Diensten. Damit können Sie Ihre Geodaten effizient verwalten, teilen und in andere Systeme einbinden.
Ob Sie ein einfaches Kartenportal benötigen oder ein komplexes Arbeits-GIS mit Aufgabenmanagement und Datenpflege – wir entwickeln die passende Lösung für Sie.
Unsere Leistungen im Überblick:
- Web-GIS für Werkleitungen und Infrastruktur
- Arbeits-GIS für Wartung, Kontrolle und Dokumentation
- Mobile GIS-Anwendungen für den Außendienst
- GIS-Plattform mit WMS/WFS-Diensten
- Individuelle Anpassung und Erweiterung
- Beratung, Schulung und Support
Vorteile für Ihr Unternehmen:
- 📍 Zentrale Datenhaltung: Alle relevanten Informationen sind an einem Ort verfügbar.
- 📱 Geräteunabhängiger Zugriff: Web- und App-Lösungen für PC, Tablet und Smartphone.
- 🛠️ Effiziente Wartungsplanung: Digitale Katastersysteme mit Intervallverwaltung.
- 🔄 Nahtlose Integration: Einbindung in bestehende Systeme und Prozesse.
- 🧭 Bessere Orientierung: Klare Kartenansichten für Planung und Einsatz.
- 📊 Transparente Dokumentation: Lückenlose Nachverfolgbarkeit von Maßnahmen.
- 🧩 Modularer Aufbau: Erweiterbar nach Bedarf.
- 🧑🤝🧑 Benutzerfreundlich: Intuitive Bedienung für Fachpersonal und Außendienst.
- 🧠 Know-how aus der Praxis: Lösungen, die sich im Einsatz bewährt haben.
Unsere GIS-Systeme helfen Ihnen, Ihre Infrastruktur effizient zu verwalten, Arbeitsprozesse zu digitalisieren und Entscheidungen fundiert zu treffen. Sprechen Sie uns an – wir entwickeln gemeinsam mit Ihnen die passende Lösung.
wir planen gerne ihre Geodateninfrastriktur
Kontaktieren sie uns einfach und wir Beraten sie gerne.

